HollyHills Development Announces Launch of Development of Commercial Pad Sites in Northwest San Antonio, Texas

Eight Pad Sites Are Located Near the Briggs Ranch Development & Golf Course
HollyHills Group

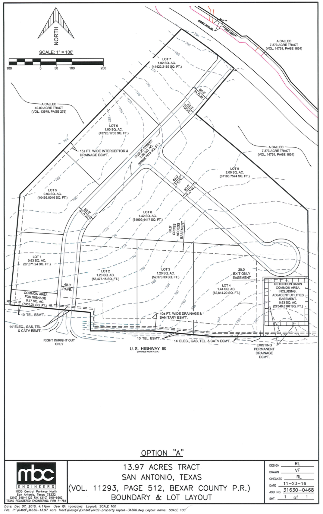
HollyHills Development President & CEO Daniel N. Bailey announced that his firm had acquired 13.7 acres of prime commercial real estate in San Antonio, Texas’ Northwest side for development of multiple commercial pad sites.

HollyHills Development has extensive experience in the San Antonio market with past commercial development projects in the SouthPort area adjacent to the Toyota Manufacturing Plant on the city’s Southside as well as Master planning work at Briggs Ranch in the city’s Northwest region.

"We believe these new commercial pad sites will be in high demand as San Antonio continues its record growth and development."

Daniel N. Bailey, President & CEO

HollyHills has been a longtime and strong proponent of San Antonio’s vastly expanding Northwest region. We believe these new commercial pad sites will be in high demand as San Antonio continues its record growth and development,” Bailey said.

HollyHills Development focuses on development of luxury apartment home projects, boutique new track home ventures, a custom home building program, and commercial real estate development. For more information about HollyHills, visit their website at www.hollyhills.com.

These parcels look out to the surrounding golf course and an adjacent high-end luxury apartment home development and front a major state highway thoroughfare.

The commercial lots are exclusively listed by Deborah Bauer, founder of Drake Commercial Group:

210-402-6363
www.drakecommercial.com

FOR MORE INFORMATION, CONTACT: 

T. J. Connolly
[email protected]
210-601-2601

Source: HollyHills Group

Share:


Tags: community planning san antonio, daniel n. bailey, hollyhills daniel n. bailey, HollyHills San Antonio, Texas Commercial Development, Texas Real Estate


Additional Images

About HollyHills Group

View Website or Media Room

HOLLYHILLS IS THE INDUSTRY LEADER IN CONCEPT MASTER-PLANNING AND DEVELOPMENT FOR THE FUTURE REVITALIZATION AND PROSPERITY OF EMERGING COMMUNITIES.

HollyHills Group
PO Box 5818
Palm Springs, CA 92263
United States